New Search Family, Subfamily and Tribe List

SubFamily Cerambycinae

Tribe Pytheini
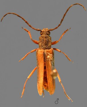
Brounopsis hudsoni Blair 1937

Sex: m
Photographer: Qiao Wang
Determiner: Zootaxa
39566


Sex: f
Photographer: Qiao Wang
Determiner: Zootaxa
39567

130425