New Search Family, Subfamily and Tribe List

SubFamily Cerambycinae

Tribe Callidiopini
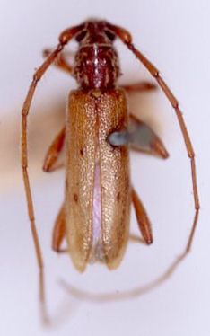
Eburida quadriguttata (Sharp, 1886)

Institution: BPBM Bernice P. Bishop Museum, Honolulu, Hawaii, USA
Photographer: Jim Cope
37401

130425