New Search Family, Subfamily and Tribe List

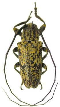
SubFamily Lamiinae

Tribe Onciderini Onciderina
Hesychotypa balia Martins & Galileo 2009

Specimen Type: holotype
Sex: m
Institution: MNKM Museo de Hist Nat Noel Kempff Mercado Santa Cruz de la Sierra, Bolivia
Collection Location: Buena Vista, Santa Cruz, Bolivia
27491


Photographer: Jim Wappes
Collection Location: Bolivia
8314


Photographer: Alicia M. Hodson
42231

130425