_Newman_BMNH_Port-au-Prince_Haiti_LGB.jpg)
Specimen Type: neotype Sex: m Institution: BMNH British Museum Natural History, London, UK Photographer: Larry G. Bezark Collection Location: Port-au-Prince, Haiti 46677
|
_Newman_Curacao_Stud_Fauna_Curacao.jpg)
Sex: mf Collection Location: Curacao 22359
|

Institution: MCZ Museum of Comparative Zoology, Harvard University, Cambridge, MA, USA Photographer: P. Naskrecki, P. Perkins, and B. Farrell Collection Location: Haiti 24886
|

Institution: MCZ Museum of Comparative Zoology, Harvard University, Cambridge, MA, USA Photographer: P. Naskrecki, P. Perkins, and B. Farrell Collection Location: Haiti 24887
|

Institution: MCZ Museum of Comparative Zoology, Harvard University, Cambridge, MA, USA Photographer: P. Naskrecki, P. Perkins, and B. Farrell Collection Location: Haiti 24888
|

Institution: MCZ Museum of Comparative Zoology, Harvard University, Cambridge, MA, USA Photographer: P. Naskrecki, P. Perkins, and B. Farrell Collection Location: Haiti 24889
|

Photographer: Ole Mehl Collection Location: Hispaniola, Dominican Republic 39323
|

Institution: UCB Essig Museum of Entomology, Berkeley, California, USA Photographer: Larry G. Bezark Determiner: Wappes Collection Location: Dominican Republic 7185
|

Institution: MCZ Museum of Comparative Zoology, Harvard University, Cambridge, MA, USA Photographer: P. Naskrecki, P. Perkins, and B. Farrell Collection Location: La Altagracia, Dominican Republic 24884
|

Institution: MCZ Museum of Comparative Zoology, Harvard University, Cambridge, MA, USA Photographer: P. Naskrecki, P. Perkins, and B. Farrell Collection Location: La Altagracia, Dominican Republic 24885
|
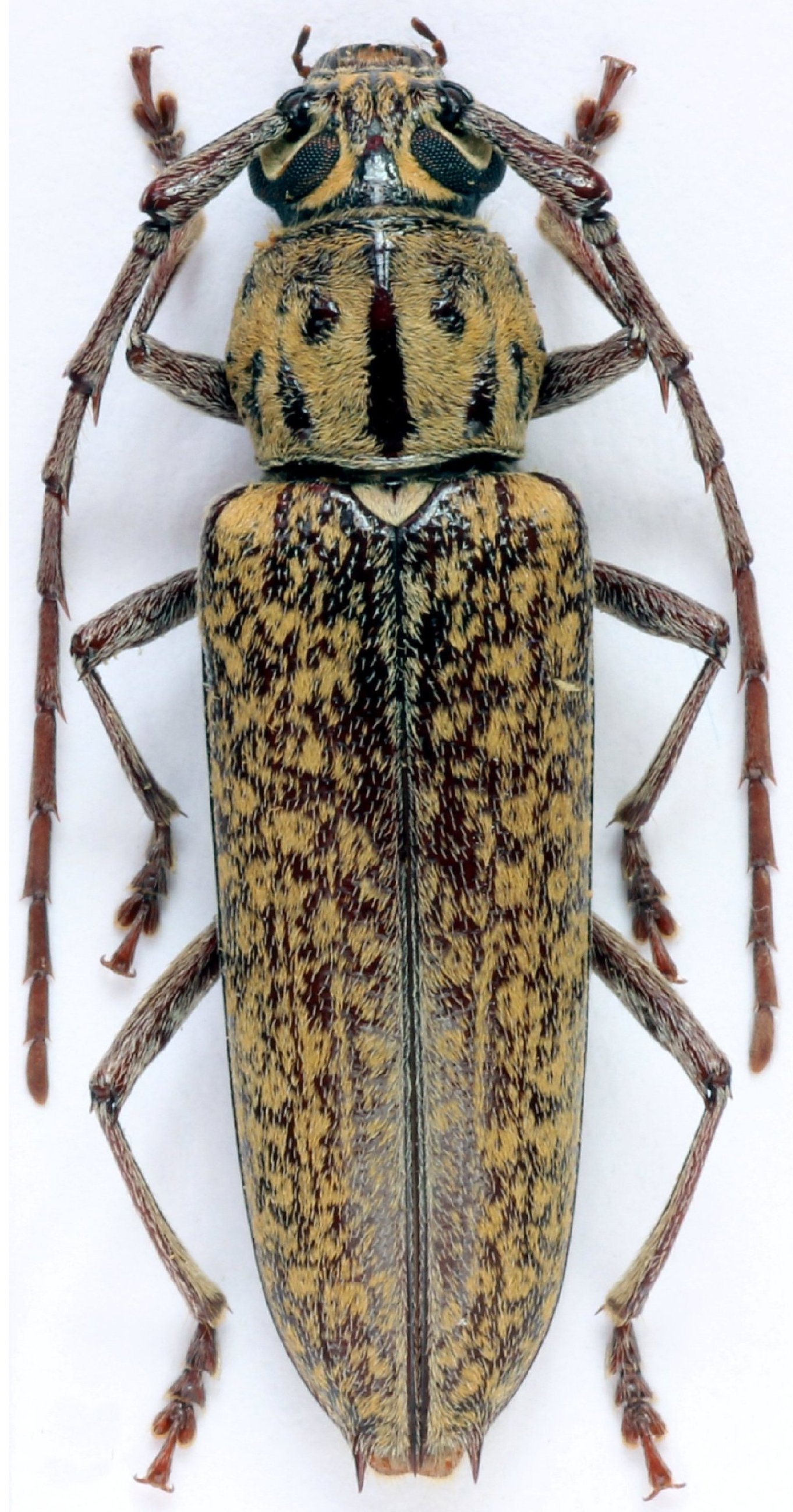
 Newman MZSP Dominican Republic SS.jpg)
Sex: f Institution: MZSP Museu de Zoologia da Universidade de São Paulo, Brazil Photographer: Antonio Santos-Silva Collection Location: Dominican Republic 76963
|
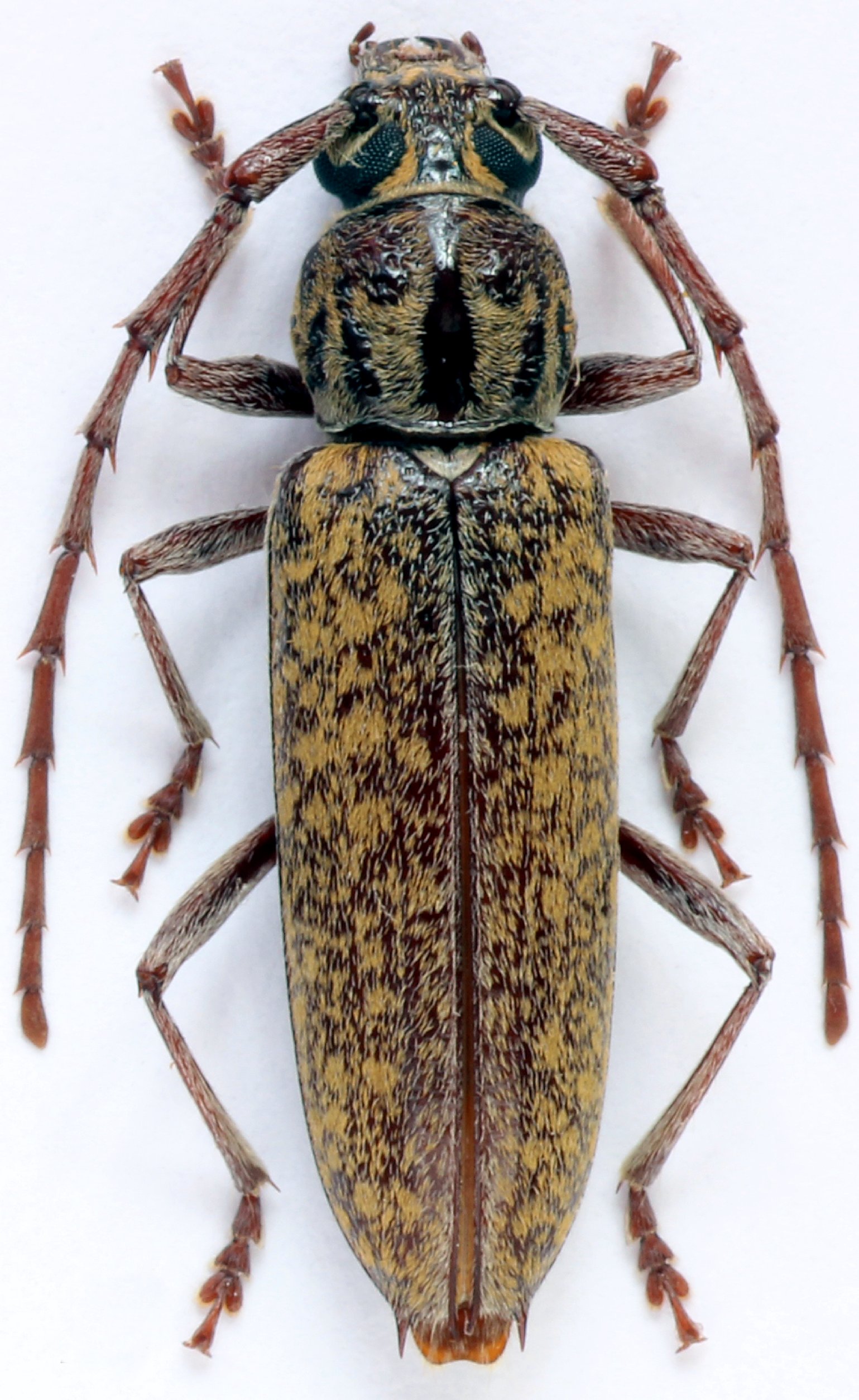
 Newman MZSP Dominican Republic SS.jpg)
Sex: f Institution: MZSP Museu de Zoologia da Universidade de São Paulo, Brazil Photographer: Antonio Santos-Silva Collection Location: Dominican Republic 76964
|
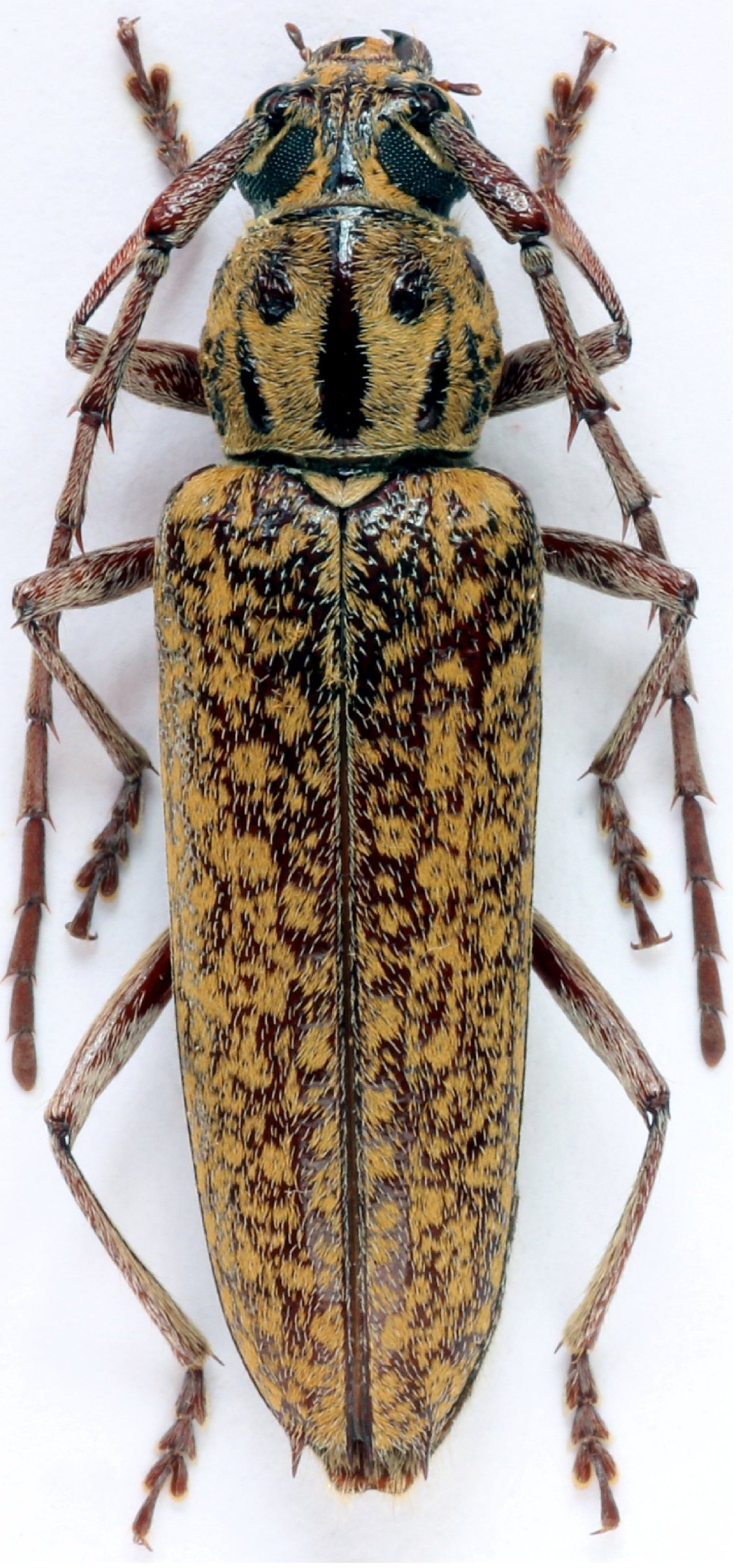
 Newman Vlasak coll Puerto Rico Vlasak pic.jpg)
Sex: f Institution: Vlasak Collection Photographer: Josef Vlasak Collection Location: Puerto Rico 76965
|
 Newman Vlasak coll Puerto Rico Vlasak pic.jpg)
Sex: f Institution: Vlasak Collection Photographer: Josef Vlasak Collection Location: Puerto Rico 76966
|

Sex: f Institution: Vlasak Collection Photographer: Josef Vlasak Collection Location: Puerto Rico 76967
|
|