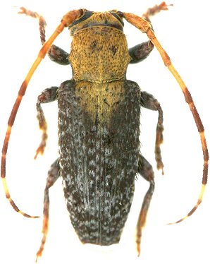
_G_and_M_MZSP_Kaw_Fr_Guiana.jpg)
Specimen Type: holotype Sex: m Institution: MZSP Museu de Zoologia da Universidade de São Paulo, Brazil Photographer: Larry G. Bezark Collection Location: Kaw, French Guiana 33372
|
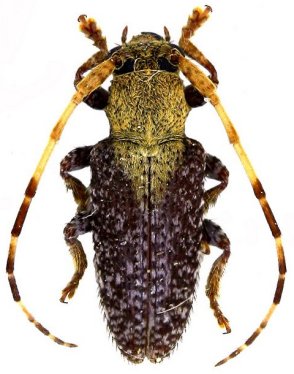
_Galileo_and_Martins_MZSP_Kaw_French_Guiana.jpg)
Specimen Type: holotype Sex: m Institution: MZSP Museu de Zoologia da Universidade de São Paulo, Brazil Collection Location: Kaw, French Guiana 27489
|

Photographer: Odette Morvan Collection Location: French Guiana 39982
|

Photographer: Jean-Louis Giuglaris Collection Location: Kaw, French Guiana 28743
|

Photographer: Jean-Louis Giuglaris Collection Location: Kaw, French Guiana 28745
|

Institution: LGBC Larry G. Bezark Collection, Sacramento, California, USA Photographer: Larry G. Bezark Collection Location: Cerro Akati, Guaira, Paraguay 69684
|
|