New Search Family, Subfamily and Tribe List

SubFamily Cerambycinae

Tribe Elaphidiini
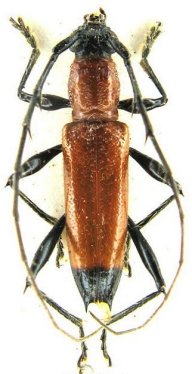
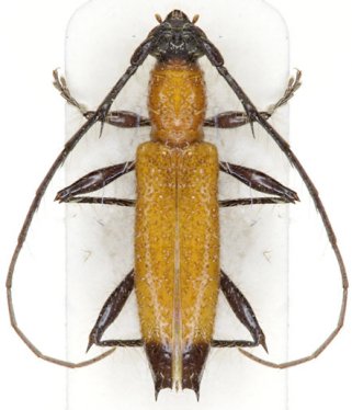
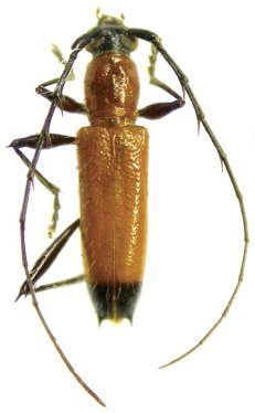
Stizocera kawensis Galileo & Martins 2009

Specimen Type: holotype
Sex: m
Institution: MZSP Museu de Zoologia da Universidade de São Paulo, Brazil
Collection Location: Kaw, French Guiana
27540


Photographer: Denis Faure
Collection Location: French Guiana
29355


Photographer: Jean-Louis Giuglaris
Collection Location: Kaw, French Guiana
29356

130425