_Gressitt_BPBM_Nobuo_Ohbay.jpg)
Specimen Type: holotype Sex: m Institution: BPBM Bernice P. Bishop Museum, Honolulu, Hawaii, USA Photographer: Nobuo Ohbayashi Collection Location: Bisianumu, near Sogeri, NE of Port Moresby, Papua New Guinea 43342
|
_Gressitt_Papua_New_Guinea_Cope.jpg)
Specimen Type: holotype Sex: m Institution: BPBM Bernice P. Bishop Museum, Honolulu, Hawaii, USA Photographer: Jim Cope Collection Location: Bisianumu, near Sogeri, NE of Port Moresby, Papua New Guinea 36609
|
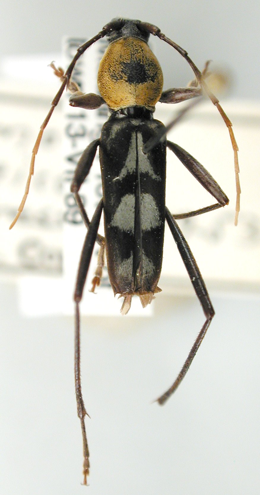
.jpg)
Specimen Type: holotype Sex: m Institution: BPBM Bernice P. Bishop Museum, Honolulu, Hawaii, USA Determiner: Pacific Insects Collection Location: Bisianumu, near Sogeri, NE of Port Moresby, Papua New Guinea 36608
|

Institution: JCPC Jim Cope Collection, San Jose, California, USA now at CSCA, Sacramento Photographer: Larry G. Bezark Determiner: Jim Cope Collection Location: Madang, Papua New Guinea 98635
|
|