_Pascoe_BMNH_Salwatty_Mysol_PNG_now_Xylo_Vikt.jpg)
Clytanthus oriolinus Pascoe Specimen Type: holotype Sex: f Institution: BMNH British Museum Natural History, London, UK Photographer: Petr Viktora Collection Location: Salwatty, Misol, Papua New Guinea 75049
|
_Pascoe_BMNH_Salwatty_Mysol_PNG_now_Xylo_Vikt.jpg)
Clytanthus oriolinus Pascoe Specimen Type: holotype Sex: f Institution: BMNH British Museum Natural History, London, UK Photographer: Petr Viktora Collection Location: Salwatty, Misol, Papua New Guinea 75050
|
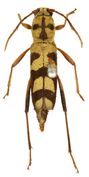
_(Pascoe)_BMNH_Viktora_pic.jpg)
Sex: f Institution: BMNH British Museum Natural History, London, UK Photographer: Petr Viktora 75051
|
_(Pascoe)_BMNH_Viktora_pic.jpg)
Sex: f Institution: BMNH British Museum Natural History, London, UK Photographer: Petr Viktora 75052
|
_LGB.jpg)
Institution: LGBC Larry G. Bezark Collection, Sacramento, California, USA Photographer: Larry G. Bezark Collection Location: Ivimka, Papua New Guinea 35581
|

Determiner: Pacific Insects 35580
|
|