_CAS.jpg)
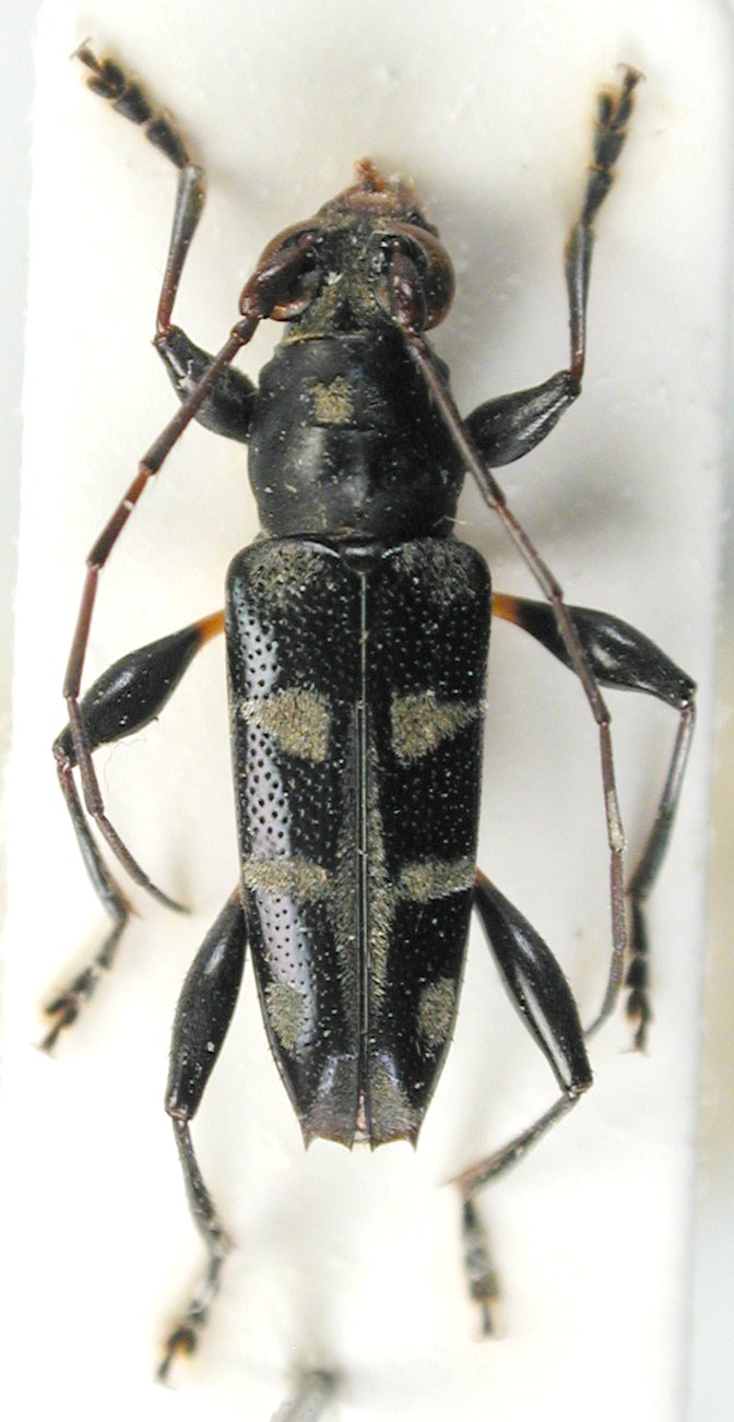
Glaucytes quadrifasciata Gressitt Specimen Type: allotype Sex: a Institution: CAS California Academy of Sciences, San Francisco, CA, USA Photographer: Larry G. Bezark Collection Location: Papua New Guinea 41631
|
 Biak, Irian Jaya 30km NE Saba E det Weigel JCPC LGB.jpg)
Institution: JCPC Jim Cope Collection, San Jose, California, USA now at CSCA, Sacramento Photographer: Larry G. Bezark Determiner: Andreas Weigel Collection Location: Biak, Irian Jaya 30km NE Saba E 99844
|