_Gressitt_CAS_7527_LGB.jpg)
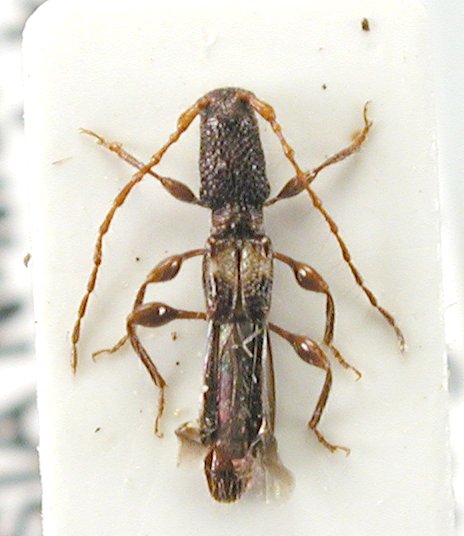
Specimen Type: holotype Sex: m Institution: CAS California Academy of Sciences, San Francisco, CA, USA Photographer: Larry G. Bezark Collection Location: Hollandia, northern New Guinea 51669
|

Institution: JCPC Jim Cope Collection, San Jose, California, USA now at CSCA, Sacramento Photographer: Larry G. Bezark Determiner: Andreas Weigel Collection Location: Ternate, Tolire Lake, N. Moluccas, Indonesia 99061
|