_Gressitt_BPBM_Nobuo_Ohbay.jpg)
Specimen Type: holotype Sex: f Institution: BPBM Bernice P. Bishop Museum, Honolulu, Hawaii, USA Photographer: Nobuo Ohbayashi Collection Location: Sibil, Sterrengebergte, Papua New Guinea 43380
|
.jpg)
Specimen Type: holotype Institution: BPBM Bernice P. Bishop Museum, Honolulu, Hawaii, USA Determiner: Pacific Insects Collection Location: Papua New Guinea 37787
|
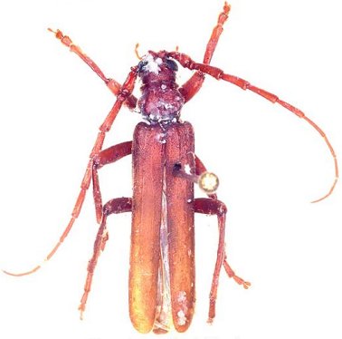
_Gressitt_Papua_New_Guinea_Cope.jpg)
Specimen Type: holotype Sex: f Institution: BPBM Bernice P. Bishop Museum, Honolulu, Hawaii, USA Photographer: Jim Cope Collection Location: Sibil, Sterrengebergte, Papua New Guinea 37785
|
_Gressitt_RMNH_Sibil_PNG.jpg)
Specimen Type: paratype Institution: RMNH Rijksmuseum van Natuurlijke Historie, Leiden, Netherlands Collection Location: Sibil, Papua New Guinea 37788
|

Institution: BPBM Bernice P. Bishop Museum, Honolulu, Hawaii, USA Photographer: Jim Cope Collection Location: Papua New Guinea 37782
|
|