 Alten MNMH Kane Co, Utah GN.jpg)
Specimen Type: holotype Sex: m Institution: NMNH United States National Museum, Washington, DC, USA Photographer: Gino Nearns Collection Location: Handcock Rd., 2mi W Jct Hwy 89, Kane Co., Utah 28415
|
 Alten MNMH Kane Co, Utah GN.jpg)
Specimen Type: holotype Sex: m Institution: NMNH United States National Museum, Washington, DC, USA Photographer: Gino Nearns Collection Location: Handcock Rd., 2mi W Jct Hwy 89, Kane Co., Utah 90506
|
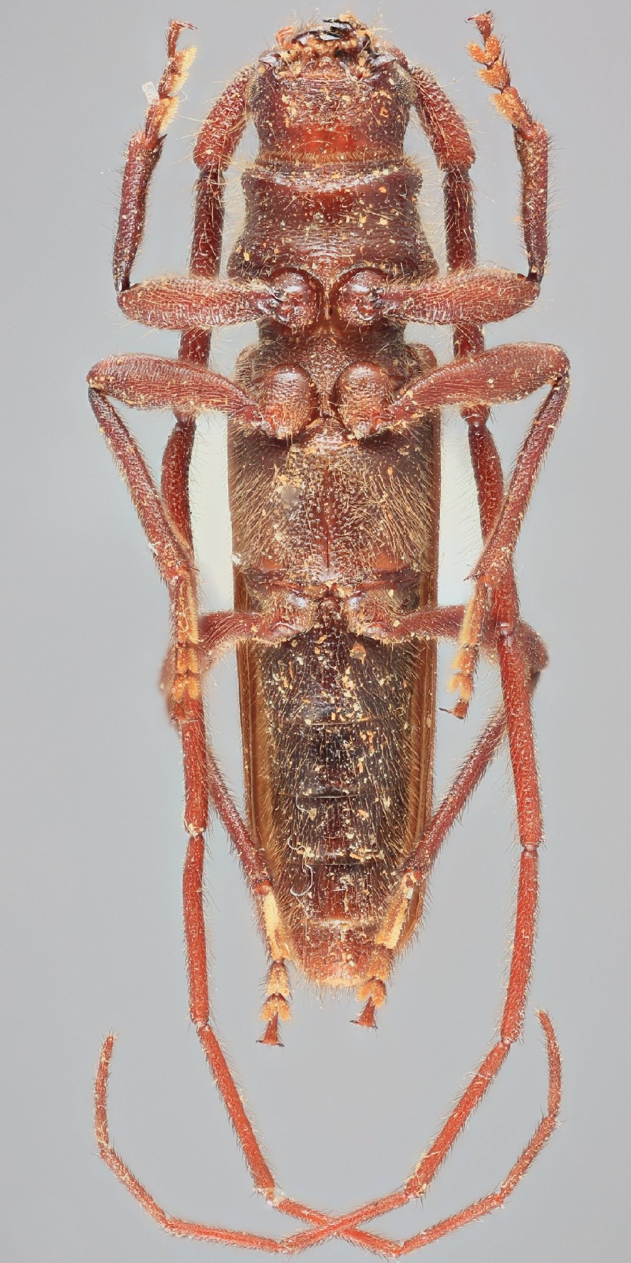
 Alten MNMH Kane Co, Utah GN.jpg)
Specimen Type: holotype Sex: m Institution: NMNH United States National Museum, Washington, DC, USA Photographer: Gino Nearns Collection Location: Handcock Rd., 2mi W Jct Hwy 89, Kane Co., Utah 90507
|
 Alten MNMH Kane Co, Utah GN.jpg)
Specimen Type: holotype Sex: m Institution: NMNH United States National Museum, Washington, DC, USA Photographer: Gino Nearns Collection Location: Handcock Rd., 2mi W Jct Hwy 89, Kane Co., Utah 90508
|
_Alten_and_Alten_and_Ramey_USNM_SWL_image.jpg)
Specimen Type: holotype Sex: m Institution: NMNH United States National Museum, Washington, DC, USA Photographer: Steve Lingafelter Collection Location: Handcock Rd., 2mi W Jct Hwy 89, Kane Co., Utah 28416
|
_Alten_and_Alten_and_Ramey_USNM_SWL_image.jpg)
Specimen Type: allotype Sex: f Institution: NMNH United States National Museum, Washington, DC, USA Photographer: Steve Lingafelter Collection Location: Handcock Rd., 2mi W Jct Hwy 89, Kane Co., Utah 28417
|
_same_data_Alten_LGB.jpg)
Specimen Type: paratype Institution: CSCA California State Collection of Arthropods, Sacramento, California Photographer: Larry G. Bezark Collection Location: Handcock Rd., 2mi W Jct Hwy 89, Kane Co., Utah 44842
|
|