_Gressitt_BPBM_Nobuo_Ohbay.jpg)
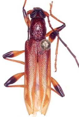
Specimen Type: holotype Sex: f Institution: BPBM Bernice P. Bishop Museum, Honolulu, Hawaii, USA Photographer: Nobuo Ohbayashi Collection Location: Mist Camp, Papua New Guinea 45390
|

Institution: RMNH Rijksmuseum van Natuurlijke Historie, Leiden, Netherlands Collection Location: Araucaria Camp, Papua New Guinea 45393
|