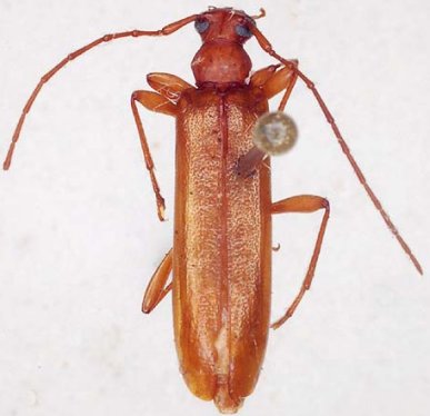
_Gressitt_BPBM_Nobuo_Ohbay.jpg)
Specimen Type: holotype Sex: m Institution: BPBM Bernice P. Bishop Museum, Honolulu, Hawaii, USA Photographer: Nobuo Ohbayashi Collection Location: Moss Forest Camp, Papua New Guinea 44918
|
_Gressitt_RNHL_Moss_Forest_Camp_PNG.jpg)
Specimen Type: paratype Institution: RMNH Rijksmuseum van Natuurlijke Historie, Leiden, Netherlands Collection Location: Moss Forest Camp, Papua New Guinea 54536
|