_Gressitt_BPBM_Nobuo_Ohbay.jpg)
Specimen Type: holotype Sex: m Institution: BPBM Bernice P. Bishop Museum, Honolulu, Hawaii, USA Photographer: Nobuo Ohbayashi Collection Location: Urapura, Papua New Guinea 43261
|
_Gressitt_RMNH_Rattan_Camp_PNG.jpg)
Specimen Type: paratype Institution: RMNH Rijksmuseum van Natuurlijke Historie, Leiden, Netherlands Photographer: Gerrit Withaar Collection Location: Rattan Camp, Papua New Guinea 37294
|
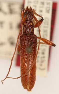
_Gress_LIPI_Netherlands_Exped_PNG_LGB.jpg)
Specimen Type: paratype Institution: LIPI Lembaga Ilmu Pengetahuan, Bogor, Indonesia Photographer: Larry G. Bezark Collection Location: Netherlands Expedition, Papua New Guinea 43471
|
|