New Search Family, Subfamily and Tribe List

SubFamily Cerambycinae

Tribe Phoracanthini
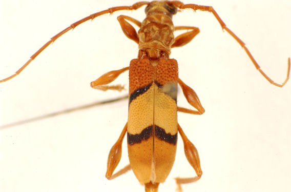
Nyphasia pulchra Gressitt 1951

Specimen Type: holotype
Sex: f
Institution: AMNH American Museum of Natural History, New York, NY, USA
Collection Location: Lake Daviumbu, Fly River, Papua New Guinea
54666

130425