New Search Family, Subfamily and Tribe List

SubFamily Cerambycinae

Tribe Phoracanthini
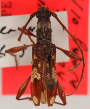
Coptocercus shuteae Wang 1995

Specimen Type: holotype
Sex: m
Institution: BPBM Bernice P. Bishop Museum, Honolulu, Hawaii, USA
Photographer: Nobuo Ohbayashi
Collection Location: New Ireland, Bismarck Archipelago, Papua New Guinea
43312

130425