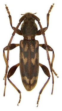
_Pascoe_BMNH_Helena Maratheftis.jpg)
Specimen Type: holotype Institution: BMNH British Museum Natural History, London, UK Photographer: Helena Maratheftis Collection Location: Ambon, Molucca Islands 65988
|
_Pascoe_BMNH_Helena Maratheftis.jpg)
Specimen Type: holotype Institution: BMNH British Museum Natural History, London, UK Photographer: Helena Maratheftis Collection Location: Ambon, Molucca Islands 65989
|

Determiner: Pacific Insects 60962
|

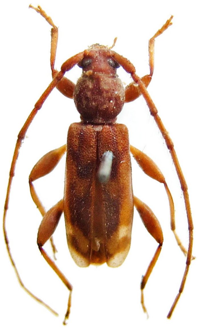
Photographer: Udo Schmidt Collection Location: Labuha, Bacan, Moluccas, Indonesia 60963
|
|