New Search Family, Subfamily and Tribe List

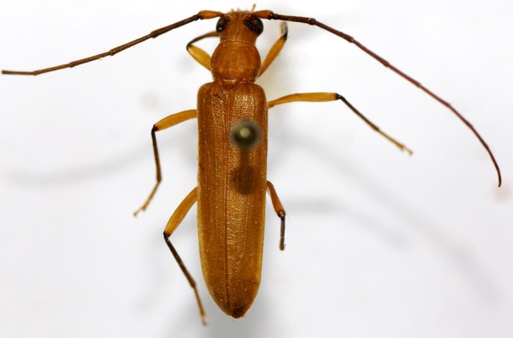
SubFamily Cerambycinae

Tribe Oemini
Noserius gardneri Martins 1980

Photographer: Karyanna Desai, Cerambycoidea Forum
Collection Location: Nilamburi, Kerata, India
61676

130425