_Gressitt_BPBM_Nobuo_Ohbay.jpg)
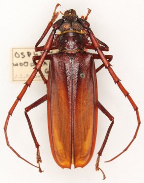
Specimen Type: holotype Sex: m Institution: BPBM Bernice P. Bishop Museum, Honolulu, Hawaii, USA Photographer: Nobuo Ohbayashi Collection Location: Woodlark, east of Papua New Guinea 45035
|
.jpg)
Specimen Type: holotype Sex: m Institution: BPBM Bernice P. Bishop Museum, Honolulu, Hawaii, USA Determiner: Pacific Insects Collection Location: Kulumadau Hill, Woodlark Island, east of Papua New Guinea 55223
|