New Search Family, Subfamily and Tribe List

SubFamily Prioninae

Tribe Osphryonini
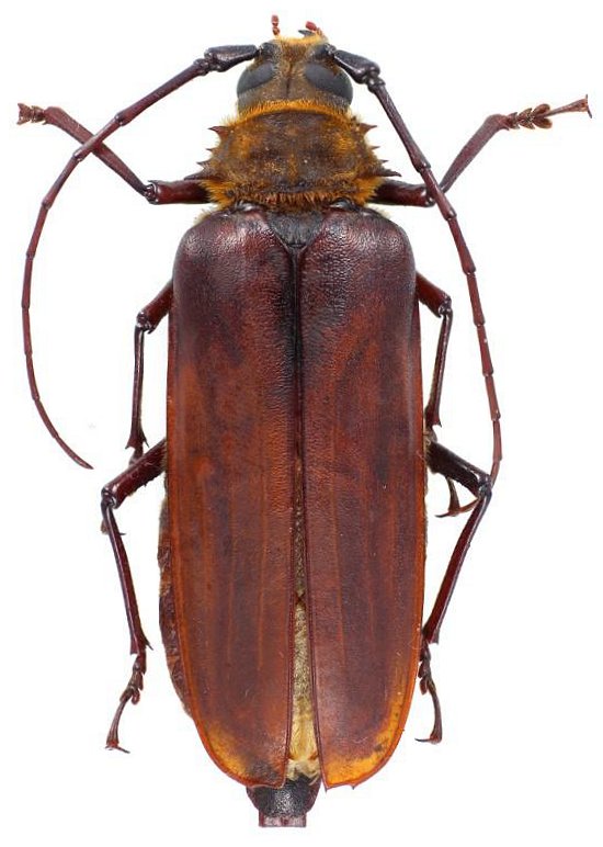
Osphryon wauensis Nylander 1998

Sex: f
Institution: Voitsekhovskii Collection
Photographer: Voitsekhovskii
Collection Location: Papua New Guinea
72134

130425