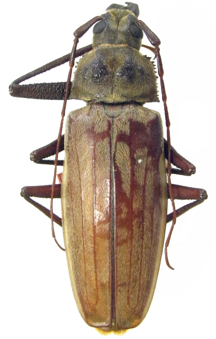
 Lameere IRSNB Bougainville, PNG now Xix FV.jpg)
Clinopleurus lansbergei Lameere Specimen Type: lectotype©IRSNB Institution: IRSNB Royal Belgian Institute of Natural Sciences, Brussels, Belgium Photographer: Francesco Vitali, Cerambycoidea Forum Collection Location: Bougainville, Papua New Guinea 100731
|
 Lameere IRSNB Bopugainville, PNG now Xix FV.jpg)
Clinopleurus lansbergei Lameere Specimen Type: paralecto©IRSNB Institution: IRSNB Royal Belgian Institute of Natural Sciences, Brussels, Belgium Photographer: Francesco Vitali, Cerambycoidea Forum Collection Location: Bougainville, Papua New Guinea 100732
|
 Lameere IRSNB Bougainville, Papua New Guinea now Xixuthrus Camille Locatelli2.jpg)
Clinopleurus lansbergei Lameere Specimen Type: syntype©IRSNB Institution: IRSNB Royal Belgian Institute of Natural Sciences, Brussels, Belgium Photographer: Camille Locatelli Collection Location: Bougainville, Papua New Guinea 77870
|
 Lameere IRSNB Bougainville, Papua New Guinea now Xixuthrus Camille Locatelli2.jpg)
Clinopleurus lansbergei Lameere Specimen Type: syntype©IRSNB Institution: IRSNB Royal Belgian Institute of Natural Sciences, Brussels, Belgium Photographer: Camille Locatelli Collection Location: Bougainville, Papua New Guinea 77871
|
 Lameere IRSNB Bougainville, Papua New Guinea now Xixuthrus Camille Locatelli2.jpg)
Clinopleurus lansbergei Lameere Specimen Type: syntype©IRSNB Institution: IRSNB Royal Belgian Institute of Natural Sciences, Brussels, Belgium Photographer: Camille Locatelli Collection Location: Bougainville, Papua New Guinea 77872
|
 Lameere IRSNB Bougainville, Papua New Guinea now Xixuthrus Camille Locatelli2.jpg)
Clinopleurus lansbergei Lameere Specimen Type: syntype©IRSNB Institution: IRSNB Royal Belgian Institute of Natural Sciences, Brussels, Belgium Photographer: Camille Locatelli Collection Location: Bougainville, Papua New Guinea 77873
|
|