New Search Family, Subfamily and Tribe List

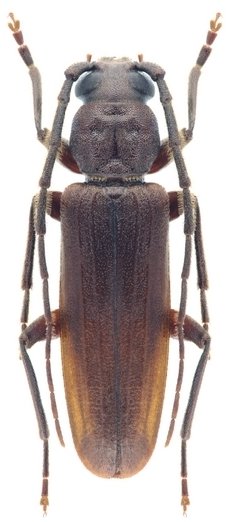
SubFamily Spondylidinae

Tribe Asemini
Cephalocrius syriacus (Reitter, 1895)

Photographer: Aleksandr Slutsky
Collection Location: Goynuk village, Antalya Province, Turkey
75349


Sex: mf
Photographer: Navratil & Hoskovec
Collection Location: vic Bosquede Esperanza, NE Tenerife, Canary Islands, Spain
78942


32359

130425