
Specimen Type: holotype Sex: m Institution: BMNH British Museum Natural History, London, UK Photographer: Slipinski & Escalona Collection Location: Bellenden Ker, Queensland, Australia 52985
|
_Gahan_N_Queensland.jpg)
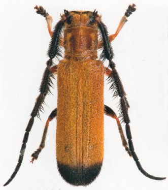
Specimen Type: holotype Sex: m Institution: BMNH British Museum Natural History, London, UK Collection Location: Bellenden Ker, N Queensland, Australia 53775
|