
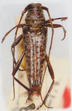
Zygocera elongata Breuning Specimen Type: holotype Institution: BMNH British Museum Natural History, London, UK Photographer: Slipinski & Escalona Collection Location: Richmond River, New South Wales, Australia 53256
|
_Slipinski_Escalona.jpg)
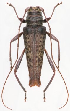
Photographer: Slipinski & Escalona 55669
|