New Search Family, Subfamily and Tribe List

SubFamily Lamiinae

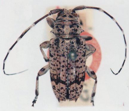
Tribe Zygocerini
Disterna concinna (Blackburn, 1901)

Zygocera concinna Blackburn
Specimen Type: holotype
Institution: BMNH British Museum Natural History, London, UK
Photographer: Slipinski & Escalona
Collection Location: Northwest Australia
53258


Photographer: Slipinski & Escalona
55683

130425