
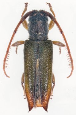
Specimen Type: holotype Sex: m Institution: NHRS Naturhistoriska Riksmuseet, Stockholm, Sweden Photographer: Slipinski & Escalona Collection Location: Mt Tambourine, Queensland, Australia 53037
|
_Aurivillius_Australia.jpg)
Specimen Type: holotype Institution: NHRS Naturhistoriska Riksmuseet, Stockholm, Sweden Determiner: Arkiv för Zoologi, Uppsala Collection Location: Mount Tambourine, Queensland, Australia 56164
|