New Search Family, Subfamily and Tribe List

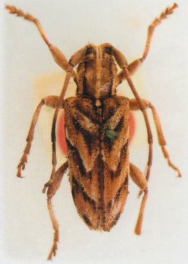
SubFamily Lamiinae

Tribe Desmiphorini
Dysthaeta anomala Pascoe 1859

Specimen Type: holotype
Institution: BMNH British Museum Natural History, London, UK
Photographer: Slipinski & Escalona
Collection Location: Moreton Bay, Queensland, Australia
52914


Photographer: Slipinski & Escalona
55685


Photographer: Slipinski & Escalona
55686

130425