New Search Family, Subfamily and Tribe List

SubFamily Lamiinae

Tribe Zygocerini
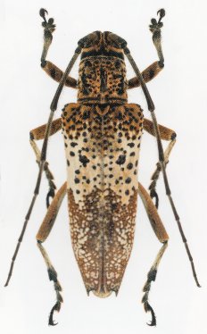
Demonassa capitalis Blackburn 1908

Specimen Type: holotype
Institution: BMNH British Museum Natural History, London, UK
Photographer: Slipinski & Escalona
Collection Location: Cairns, Queensland, Australia
52903


Photographer: Slipinski & Escalona
55677

130425