_Bates_MNHN_FTH.jpg)
Specimen Type: holotype Institution: MNHN Museum of Natural History Paris, France Collection Location: Tapajos, Para, Brazil 15299
|

Photographer: Jim Wappes Collection Location: Bolivia 4718
|

Photographer: Larry G. Bezark 4719
|

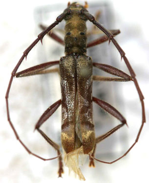
Institution: MZSP Museu de Zoologia da Universidade de São Paulo, Brazil Photographer: Steve Lingafelter Collection Location: Bolivia 4720
|
|