
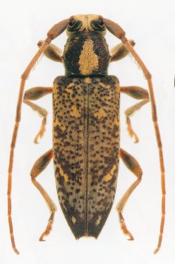
Australothelais densepunctata Breuning Specimen Type: holotype Institution: NHMB Naturhistorisches Museum, Basel, Switzerland Photographer: Slipinski & Escalona Collection Location: Mt Molloy, Queensland, Australia 52878
|
_Slipinski_Escalona.jpg)
Photographer: Slipinski & Escalona 55667
|