_Gounelle_MNHN_FTH.jpg)
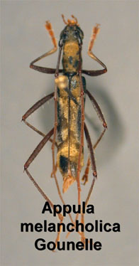
Specimen Type: syntype Institution: MNHN Museum of Natural History Paris, France Collection Location: Jatai, Goias, Brazil 15298
|

Photographer: Steve Lingafelter 21059
|

Photographer: Jim Wappes Collection Location: Bolivia 4716
|

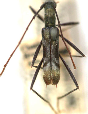
Institution: MZSP Museu de Zoologia da Universidade de São Paulo, Brazil Photographer: Steve Lingafelter Collection Location: Bolivia 4717
|
|