New Search Family, Subfamily and Tribe List

SubFamily Lamiinae

Tribe Desmiphorini
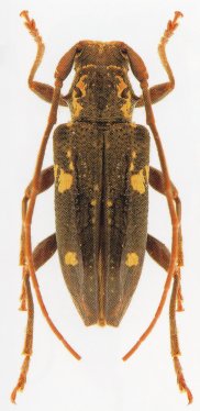
Amblymora australica Breuning 1948

Specimen Type: holotype
Institution: BMNH British Museum Natural History, London, UK
Photographer: Slipinski & Escalona
Collection Location: Kuranda, Queensland, Australia
52840


Photographer: Slipinski & Escalona
55666

130425