New Search Family, Subfamily and Tribe List

SubFamily Lamiinae

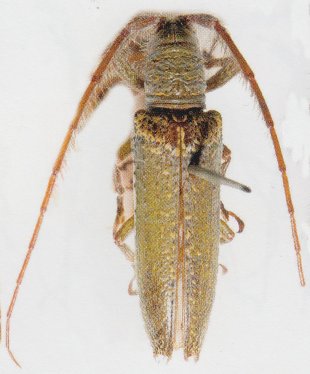
Tribe Pteropliini
Rhytiphora viridescens (Breuning, 1938)

Platyomopsis viridescens Breuning
Specimen Type: holotype
Sex: f
Institution: BMNH British Museum Natural History, London, UK
Photographer: Slipinski & Escalona
Collection Location: Moreton Bay, Queensland, Australia
53078

130425