
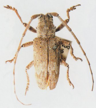
Symphyletes ingestus Pascoe Specimen Type: holotype Institution: BMNH British Museum Natural History, London, UK Photographer: Slipinski & Escalona Collection Location: Sydney, New South Wales, Australia 53211
|

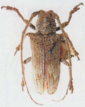
Symphyletes munitus Pascoe Specimen Type: holotype Institution: BMNH British Museum Natural History, London, UK Photographer: Slipinski & Escalona Collection Location: Clarence River, New South Wales, Australia 53212
|

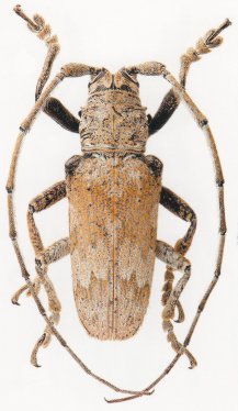
Symphyletes sodalis Pascoe Specimen Type: holotype Institution: BMNH British Museum Natural History, London, UK Photographer: Slipinski & Escalona Collection Location: Moreton Bay, Queensland, Australia 53213
|
_Slipinski_Escalona.jpg)
Photographer: Slipinski & Escalona 55756
|

Symphyletes munitus Pascoe Institution: BPBM Bernice P. Bishop Museum, Honolulu, Hawaii, USA Photographer: Jim Cope Collection Location: Australia 63330
|

Platyomopsis munitus Boisduval Photographer: Agriculture Western Australia, Natarsha Zilm 57207
|
_CAS.jpg)
Institution: CAS California Academy of Sciences, San Francisco, CA, USA Photographer: Larry G. Bezark 57214
|
|