_Pascoe_Australia.jpg)
Specimen Type: holotype Institution: BMNH British Museum Natural History, London, UK Collection Location: Swan River (Flumen Cygnourm), Western Australia 52368
|

Symphyletes maculicornis Pascoe Specimen Type: holotype Institution: BMNH British Museum Natural History, London, UK Photographer: Slipinski & Escalona Collection Location: Swan River, Western Australia 53217
|

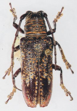
Symphyletes semivestitus Pascoe Specimen Type: holotype Institution: BMNH British Museum Natural History, London, UK Photographer: Slipinski & Escalona Collection Location: Perth, Western Australia 53218
|
_CAS.jpg)
Institution: CAS California Academy of Sciences, San Francisco, CA, USA Photographer: Larry G. Bezark 57204
|

Photographer: Agriculture Western Australia, Natarsha Zilm 52369
|

Institution: IRSNB Royal Belgian Institute of Natural Sciences, Brussels, Belgium Photographer: Noel Mal Collection Location: Cairns, Queensland, Australia 52370
|
_Cairns_Queensland_Australia_ISRNB_NM.jpg)
Institution: IRSNB Royal Belgian Institute of Natural Sciences, Brussels, Belgium Photographer: Noel Mal Collection Location: Cairns, Queensland, Australia 52371
|

Institution: BPBM Bernice P. Bishop Museum, Honolulu, Hawaii, USA Photographer: Jim Cope Collection Location: Australia 52372
|

Institution: CAS California Academy of Sciences, San Francisco, CA, USA Photographer: Larry G. Bezark 52373
|
_Slipinski_Escalona.jpg)
Photographer: Slipinski & Escalona 55747
|
|