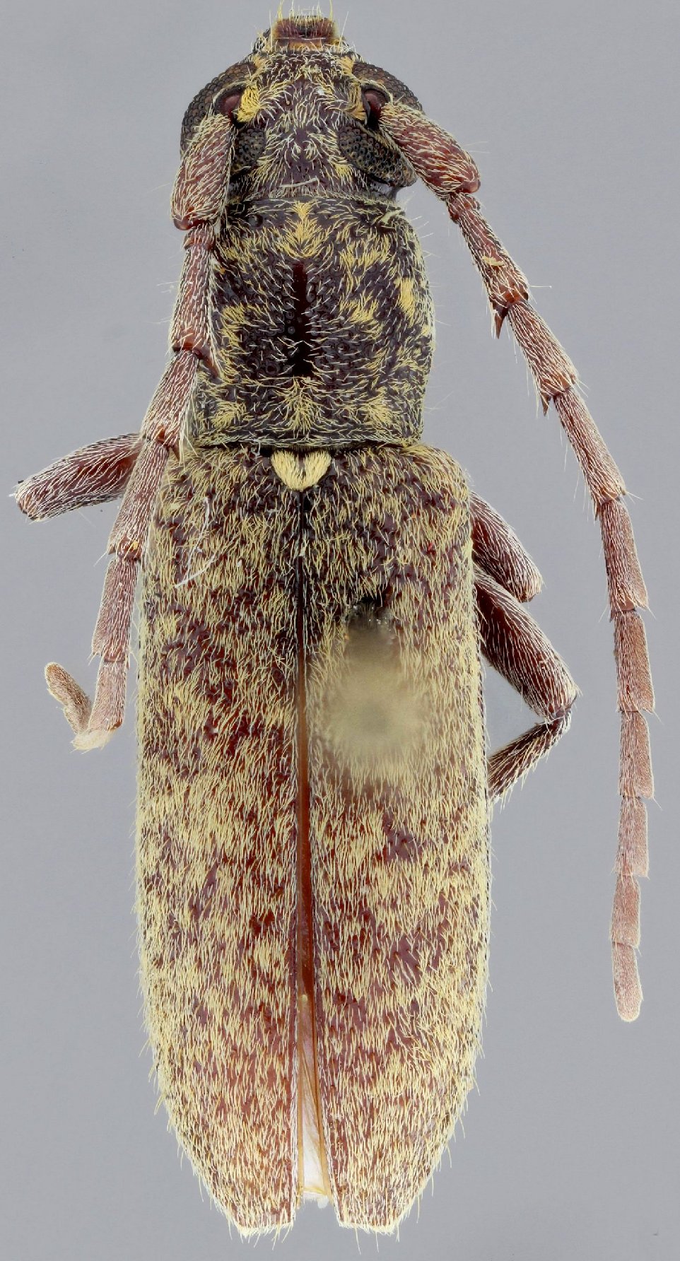
_Bates_BMNH_San_Lorenzo_Chiriqui_Pan_nowAnelaphus_LGB.jpg)
Hypermallus subseriatus Bates Specimen Type: syntype Sex: f Institution: BMNH British Museum Natural History, London, UK Photographer: Larry G. Bezark Collection Location: San Lorenzo, Chiriqui, Panama 16873
|
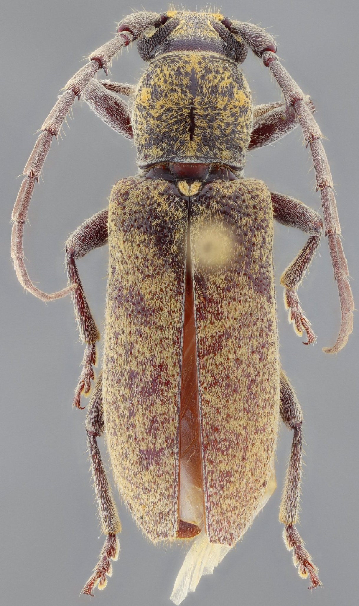
_(f)_Bates_BMNH_JAC_=_Anelaphus.jpg)
Hypermallus subseriatus Bates Specimen Type: syntype Sex: f Institution: BMNH British Museum Natural History, London, UK Photographer: John Chemsak Collection Location: San Lorenzo, Chiriqui, Panama 16872
|
_Det_Wappes_Barro_Colorado_Is._UCB.jpg)
Institution: UCB Essig Museum of Entomology, Berkeley, California, USA Photographer: Larry G. Bezark Determiner: Jim Wappes Collection Location: Barro Colorado Island, Panama 4470
|
_MZSP_SS.jpg)
Institution: MZSP Museu de Zoologia da Universidade de São Paulo, Brazil Photographer: Antonio Santos-Silva 67846
|
 Bates MZSP Panama (Panama) SS.jpg)
Sex: f Institution: MZSP Museu de Zoologia da Universidade de São Paulo, Brazil Photographer: Antonio Santos-Silva Collection Location: Panama (Panama) 76648
|
 Bates MZSP Panama (Panama) SS.jpg)
Sex: f Institution: MZSP Museu de Zoologia da Universidade de São Paulo, Brazil Photographer: Antonio Santos-Silva Collection Location: Panama (Panama) 76649
|
 Bates MZSP Panama (Panama) SS.jpg)
Sex: f Institution: MZSP Museu de Zoologia da Universidade de São Paulo, Brazil Photographer: Antonio Santos-Silva Collection Location: Panama (Panama) 76650
|
|