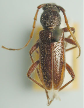
_Linsley_CAS_5246_LGB.jpg)
Specimen Type: holotype Sex: m Institution: CAS California Academy of Sciences, San Francisco, CA, USA Photographer: Larry G. Bezark Collection Location: 25 miles South of Santa Rosalía, Baja California, Mexico 20055
|
_Linsley_Santa_Rosalia_BC_UCB.jpg)
Specimen Type: paratype Institution: UCB Essig Museum of Entomology, Berkeley, California, USA Photographer: Larry G. Bezark Collection Location: Santa Rosalia, Baja California, Mexico 4468
|

Photographer: Steve Lingafelter Collection Location: Picture Rocks, Pima County, Arizona, USA 73063
|
|