New Search Family, Subfamily and Tribe List

SubFamily Lamiinae

Tribe Apomecynini
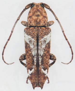
Sybra mastersi Blackburn 1894

Specimen Type: holotype
Institution: BMNH British Museum Natural History, London, UK
Photographer: Slipinski & Escalona
Collection Location: North Queensland, Australia
53174


Photographer: Slipinski & Escalona
55776

130425