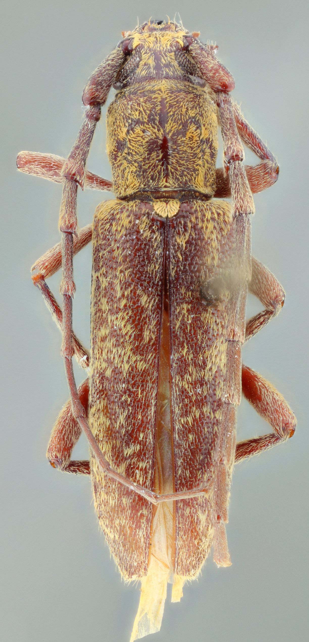
_Zajciw_MNRJ_SWL_=_Anelaphus.jpg)
Elaphidion souzai Zajciw Specimen Type: holotype Sex: m Institution: MNRJ Museu Nacional Universidade do Rio Janeiro, Brazil Photographer: Steve Lingafelter Collection Location: Serra de Uruburetama, Rajada, Sítio (Monte), Ceara, Brazil 7229
|
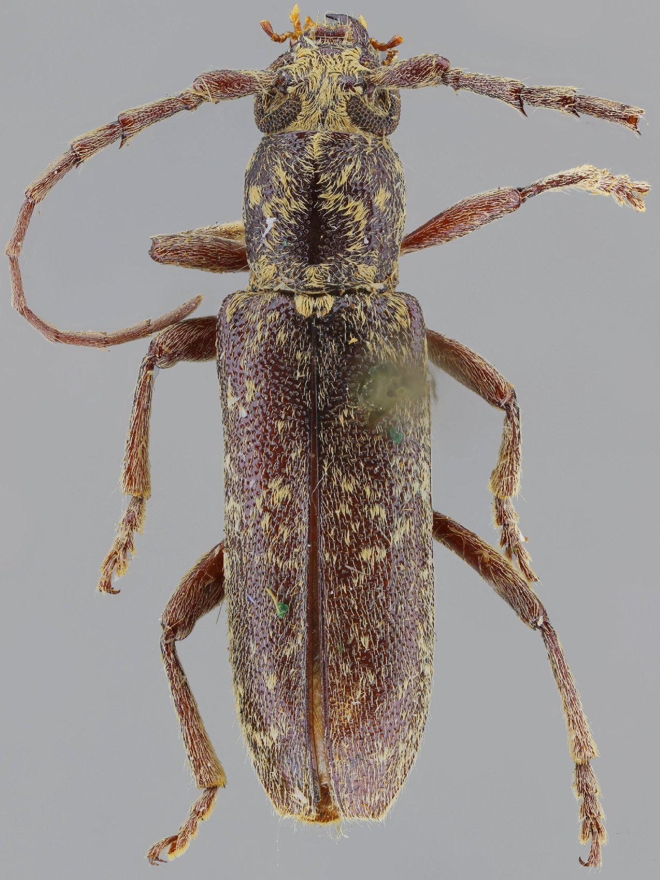
_MNRJ_SWL.jpg)
Specimen Type: paratype Sex: m Institution: MNRJ Museu Nacional Universidade do Rio Janeiro, Brazil Photographer: Steve Lingafelter 4463
|
_(Zajciw)_MZSP_Mato_Grosso_Brazil.jpg)
Specimen Type: paratype Sex: f Institution: MZSP Museu de Zoologia da Universidade de São Paulo, Brazil Photographer: Antonio Santos-Silva Collection Location: Mato Grosso, Brazil 67844
|
_(Zajciw)_MZSP_Mato_Grosso_Brazil.jpg)
Specimen Type: paratype Sex: f Institution: MZSP Museu de Zoologia da Universidade de São Paulo, Brazil Photographer: Antonio Santos-Silva Collection Location: Mato Grosso, Brazil 67845
|
 (Zajciw) Golden Frog Inn, Valle de Anton, Cocle, Panama SD coll.jpg)
Sex: f Institution: Devesa Collection Photographer: Sergio Devesa Collection Location: Golden Frog Inn, Valle de Anton, Cocle, Panama 89290
|
 (Zajciw) Golden Frog Inn, Valle de Anton, Cocle, Panama SD coll.jpg)
Sex: f Institution: Devesa Collection Photographer: Sergio Devesa Collection Location: Golden Frog Inn, Valle de Anton, Cocle, Panama 89291
|
 (Zajciw) Golden Frog Inn, Valle de Anton, Cocle, Panama SD coll.jpg)
Sex: f Institution: Devesa Collection Photographer: Sergio Devesa Collection Location: Golden Frog Inn, Valle de Anton, Cocle, Panama 89292
|
 (Zajciw) Santa Cruz, Bolivia SS.jpg)
Sex: m Institution: MZSP Museu de Zoologia da Universidade de São Paulo, Brazil Photographer: Antonio Santos-Silva Collection Location: Santa Cruz, Bolivia 90446
|
_Det_Tavakilian_Cayenne_UCB.jpg)
Institution: UCB Essig Museum of Entomology, Berkeley, California, USA Photographer: Larry G. Bezark Collection Location: Tavakilian Cayenne 4464
|

Photographer: Odette Morvan Collection Location: French Guiana 31482
|