New Search Family, Subfamily and Tribe List

SubFamily Lamiinae

Tribe Apomecynini
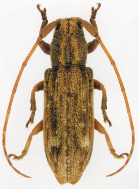
Ropica elongatula Breuning 1939

Photographer: Slipinski & Escalona
55765

130425