_NMNH_Schaef_Huachuca_Mtns_Cochise_Co_Arizona_now_Anel_SWL.jpg)
Elaphidion simile Schaeffer Specimen Type: holotype Institution: NMNH United States National Museum, Washington, DC, USA Photographer: Steve Lingafelter Collection Location: Huachuca Mountains, Cochise County, Arizona 1063
|
_Casey_USNM_=_Anelaphus_tuckeri.jpg)
Anoplium nanulum Casey Specimen Type: syntype Institution: NMNH United States National Museum, Washington, DC, USA Collection Location: vic Tucson, Arizona 25499
|
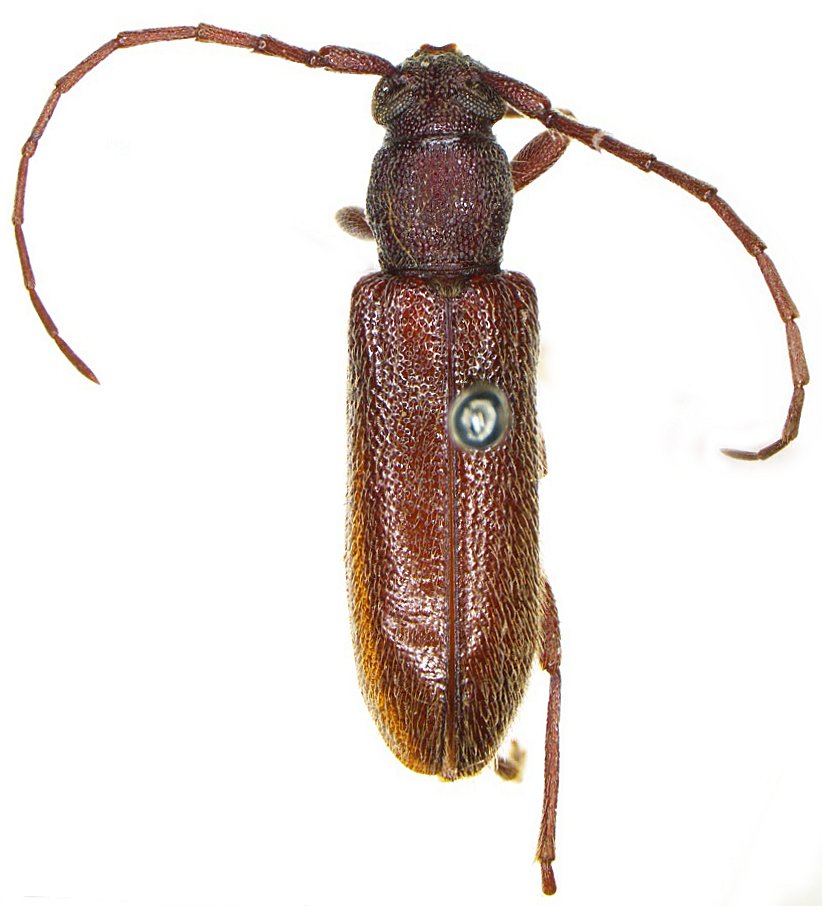
_Casey_NMNH_vic_Tucson_Ariz_now_Anel_SWL.jpg)
Anoplium tuckeri Casey Specimen Type: lectotype Institution: NMNH United States National Museum, Washington, DC, USA Photographer: Steve Lingafelter Collection Location: vic Tucson, Arizona 25500
|
_LGB_replacement.jpg)
Photographer: Larry G. Bezark 3384
|
_LGB_replacement.jpg)
Photographer: Larry G. Bezark 3392
|
_SWRS_idKnull2_SWL.jpg)
Anelaphus hoferi (Knull) Institution: Southwest Research Station, Arizona Photographer: Steve Lingafelter Determiner: Josef Knull 282
|
|