New Search Family, Subfamily and Tribe List

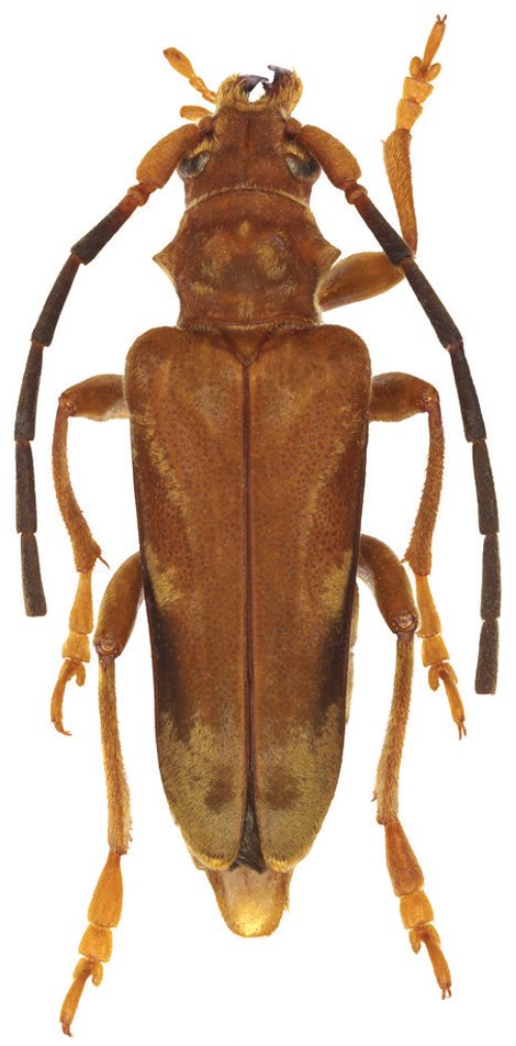
SubFamily Dorcasominae

Tribe Dorcasomini
Trypogeus gressitti Miroshnikov 2014

Specimen Type: paratype
Sex: f
Institution: BPBM Bernice P. Bishop Museum, Honolulu, Hawaii, USA
Collection Location: Phou Kou Khouei, Laos
66399

130425