_Hrabovsky_INPA_AM010_km246_Amazonas_Brazil_Monne.jpg)
Specimen Type: holotype Sex: m Institution: INPA Instituto Nacional de Pesquisas da Amazonia, Manaus, Brazil Photographer: Monne Collection Location: AM 010, km 246, Amazonas, Brazil 57419
|
_Hrabovsky_MNRJ_SWL.jpg)
Specimen Type: paratype Institution: MNRJ Museu Nacional Universidade do Rio Janeiro, Brazil Photographer: Steve Lingafelter 4459
|
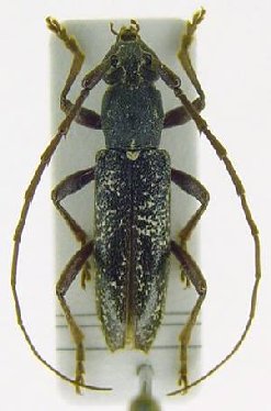
_Hrabovsky_MZSP_SWL_Bolivia.jpg)
Specimen Type: paratype Institution: MZSP Museu de Zoologia da Universidade de São Paulo, Brazil Photographer: Steve Lingafelter Collection Location: Bolivia 4460
|

Photographer: Denis Faure Collection Location: French Guiana 21637
|

Photographer: Jean-Louis Giuglaris Collection Location: Kaw, French Guinea 67923
|

Photographer: Jean-Louis Giuglaris Collection Location: Belizon, French Guiana 28578
|
|