
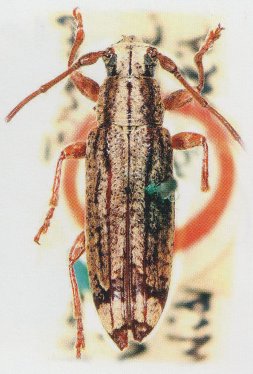
Specimen Type: holotype Institution: BMNH British Museum Natural History, London, UK Photographer: Slipinski & Escalona Collection Location: Wide Bay, Queensland, Australia 53245
|
_Det_McKeown_CAS.jpg)
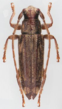
Institution: CAS California Academy of Sciences, San Francisco, CA, USA Photographer: Larry G. Bezark Determiner: McKeown 40895
|