_LeConte_MCZ_=_Anelaphus.jpg)
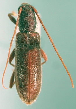
Elaphidion punctatum LeConte Specimen Type: syntype Sex: f Institution: MCZ Museum of Comparative Zoology, Harvard University, Cambridge, MA, USA Photographer: P. Naskrecki, P. Perkins, and B. Farrell Collection Location: Cape San Lucas, Baja California, Mexico 1059
|
_LeConte_MCZ_=_Anelaphus.jpg)
Elaphidion punctatum LeConte Specimen Type: syntype Sex: f Institution: MCZ Museum of Comparative Zoology, Harvard University, Cambridge, MA, USA Photographer: P. Naskrecki, P. Perkins, and B. Farrell Collection Location: Cape San Lucas, Baja California, Mexico 1060
|
_LeConte_MCZ_=_Anelaphus.jpg)
Elaphidion punctatum LeConte Specimen Type: syntype Sex: f Institution: MCZ Museum of Comparative Zoology, Harvard University, Cambridge, MA, USA Photographer: P. Naskrecki, P. Perkins, and B. Farrell Collection Location: Cape San Lucas, Baja California, Mexico 1061
|
_LeConte_MCZ_=_Anelaphus.jpg)
Elaphidion punctatum LeConte Specimen Type: syntype Sex: f Institution: MCZ Museum of Comparative Zoology, Harvard University, Cambridge, MA, USA Photographer: P. Naskrecki, P. Perkins, and B. Farrell Collection Location: Cape San Lucas, Baja California, Mexico 1062
|

Institution: CAS California Academy of Sciences, San Francisco, CA, USA Photographer: Larry G. Bezark 4458
|
|