New Search Family, Subfamily and Tribe List

SubFamily Cerambycinae

Tribe Tillomorphini
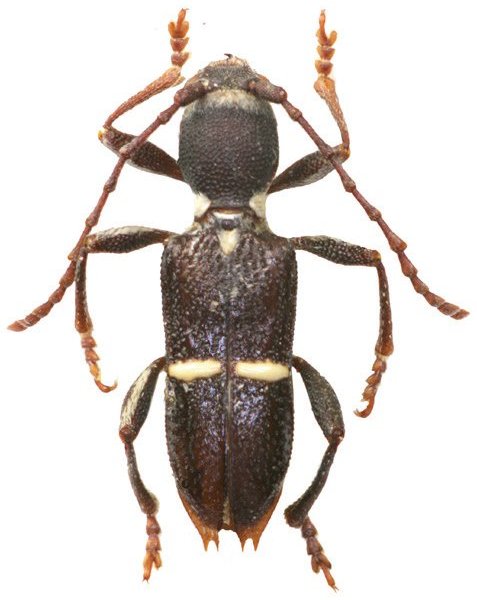
Centrotoclytus bukidnoni Vives 2020

Specimen Type: holotype
Sex: m
Institution: Vives Collection
Photographer: Eduard Vives
Collection Location: Calabugao, Bukidnon, Mindanao Island, Philippines
73470

130425