New Search Family, Subfamily and Tribe List

SubFamily Cerambycinae

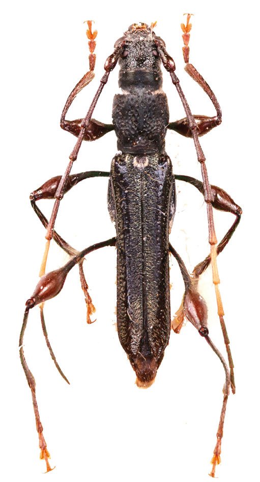
Tribe Cleomenini
Artimpaza palawana Vives 2020

Specimen Type: holotype
Sex: m
Institution: Vives Collection
Photographer: Eduard Vives
Collection Location: Roxas, Palawan Island, Philippines
73468

130425