_Nascimento_Botero_Bravo_MNRJ_Milagres_Bahia_Braz_Nasci_photo.jpg)
Specimen Type: holotype Sex: m Institution: MNRJ Museu Nacional Universidade do Rio Janeiro, Brazil Photographer: Nascimento Collection Location: Milagres, Bahia, Brazil 53277
|
_Nascimento_Botero_Bravo_MNRJ_Milagres_Bahia_Braz_Nasci_photo.jpg)
Specimen Type: holotype Sex: m Institution: MNRJ Museu Nacional Universidade do Rio Janeiro, Brazil Photographer: Nascimento Collection Location: Milagres, Bahia, Brazil 53278
|
_Nascimento_Botero_Bravo_MNRJ_Milagres_Bahia_Braz_Nasci_photo.jpg)
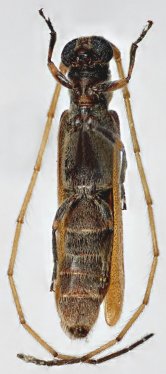
Specimen Type: holotype Sex: m Institution: MNRJ Museu Nacional Universidade do Rio Janeiro, Brazil Photographer: Nascimento Collection Location: Milagres, Bahia, Brazil 53279
|
|