_Gal_SS_MNKM_20_kmN_Camiri_SC_Bol_SS.jpg)
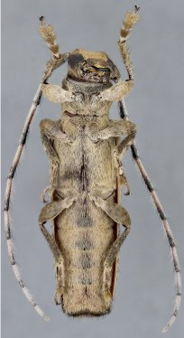
Specimen Type: holotype Sex: f Institution: MNKM Museo de Hist Nat Noel Kempff Mercado Santa Cruz de la Sierra, Bolivia Photographer: Antonio Santos-Silva Collection Location: 20 km N Camiri, Santa Cruz, Bolivia 55900
|
_Gal_SS_MNKM_20_kmN_Camiri_SC_Bol_SS.jpg)
Specimen Type: holotype Sex: f Institution: MNKM Museo de Hist Nat Noel Kempff Mercado Santa Cruz de la Sierra, Bolivia Photographer: Antonio Santos-Silva Collection Location: 20 km N Camiri, Santa Cruz, Bolivia 55901
|
_Gal_SS_MNKM_20_kmN_Camiri_SC_Bol_SS.jpg)
Specimen Type: holotype Sex: f Institution: MNKM Museo de Hist Nat Noel Kempff Mercado Santa Cruz de la Sierra, Bolivia Photographer: Antonio Santos-Silva Collection Location: 20 km N Camiri, Santa Cruz, Bolivia 55902
|
_Gal_SS_MNKM_20_kmN_Camiri_SC_Bol_SS.jpg)
Specimen Type: holotype Sex: f Institution: MNKM Museo de Hist Nat Noel Kempff Mercado Santa Cruz de la Sierra, Bolivia Photographer: Antonio Santos-Silva Collection Location: 20 km N Camiri, Santa Cruz, Bolivia 55903
|
|